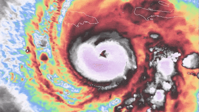
Hurricane Melissa LIVE: Jamaica prepares for category 5 storm to make landfall; ‘catastrophic and life-threatening winds’ forecast
Hurricane Melissa is expected to hit Jamaica later on Tuesday with sustained winds exceeding 280 km/h. Follow our live coverage.Source – Theage

