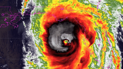
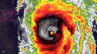
Helene of Florida: ‘Nightmare’ hurricane makes landfall at 225km/h
The National Hurricane Centre in Miami said Helene roared ashore just before midnight on Thursday (Friday afternoon AEST) near the mouth of the Aucilla River in the Big Bend area of Florida’s Gulf Coast.Source – Theage

